25 Brianne Court, West Nipissing

  • Type: Lots and Land
  • Added: 4 months ago
  • Updated: 1 month ago
  • Last Checked: 23 hours ago
  • Listed by: Page & Associates Realty, Brokerage

Listing description
This Vacant Lot at 25 Brianne Court West Nipissing, ON with the MLS Number x12329433 listed by MICHAEL PAGE - Page & Associates Realty, Brokerage on the West Nipissing market 4 months ago at $89,900.

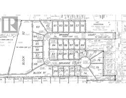
25 Brianne Court (Lot 65), Sturgeon Falls - Now presenting a fantastic opportunity to build your dream home or invest in land in a newly developed subdivision. This spacious lot includes municipal water and sewer services, with natural gas available. Zoned R2, the property allows for versatile building options including duplexes, modular homes, or single-family residences, perfect for growing families or those looking to retire in comfort. The subdivision is registered, closings any time. Visitors are welcome to park on King Street and walk up to the well-marked lots to explore the neighbourhood. Don't miss your chance to be part of this promising and thoughtfully planned community in Sturgeon Falls. Listed at $89,900 + HST. (id:1945)
Powered by REALTOR.ca
This listing content provided by REALTOR.ca has been licensed by REALTOR®
members of The Canadian Real Estate Association
Exterior & Lot Features Learn about the exterior and lot specifics of 25 Brianne Court
  • Water Source: Municipal water
  • Lot Size Dimensions: 66.24 x 117.75 FT
Location & Community Understand the neighborhood and community
  • Directions: Cross Streets: Brianne/King. ** Directions: South on Nipissing, West on Third, South on King, West on Brianne Court.
  • Community Features:
    • School Bus
    • Community Centre
Utilities & Systems Review utilities and system installations
  • Sewer: Sanitary sewer
  • Utilities:
    • Sewer
    • Electricity
    • Cable
Tax & Legal Information Get tax and legal details applicable to 25 Brianne Court
  • Tax Year: 2025
  • Tax Annual Amount: 523.51
  • Zoning Description: R2
Additional Features Explore extra features and benefits
  • List A O R: North Bay
  • List A O R Key: 61
  • Frontage Length Numeric: 66.2
  • Frontage Length Numeric Units: feet

Nearby Listings Stat Estimated price and comparable properties near 25 Brianne Court

Active listings
0
Min Price
$N/A
Max Price
$N/A
Avg Price
$N/A
Days on Market
N/A days
Sold listings
0
Min Sold Price
$N/A
Max Sold Price
$N/A
Avg Sold Price
$N/A
Days until Sold
N/A days

Nearby Places Nearby schools and amenities around 25 Brianne Court

Price History

August 7, 2025
by Page & Associates Realty, Brokerage
$89,900
25 Brianne Court
More Details?
MICHAEL PAGE
  • MICHAEL PAGE
  • Page & Associates Realty, Brokerage
  • 705-753-1155

Similar Vacant Land For Sale

Comparison of 25 Brianne Court, West Nipissing, ON with Nearby Vacant Land
Nearby Cities Listings Avg. price
North Bay 57 $514,521
Sudbury 81 $769,441
Huntsville 161 $954,538
Muskoka Lakes 71 $1,403,333
Lake Of Bays 66 $712,435
Bracebridge 78 $861,764
Popular Cities Listings Avg. price
Barrie 482 $865,899
Kawartha Lakes 465 $865,405
Richmond Hill 465 $1,755,815
Markham 562 $1,252,012
Oshawa 356 $821,351
Vaughan 719 $1,498,990