24 231 Stacho Street, Fredericton

  • Type: Lots and Land
  • Added: 10 months ago
  • Updated: 2 months ago
  • Last Checked: 23 hours ago
  • Listed by: PARTNERS GLOBAL Corporate Real Estate

Listing description
This Vacant Lot at 24 231 Stacho Street Fredericton, NB with the MLS Number nb110419 listed by Mark Leblanc - PARTNERS GLOBAL Corporate Real Estate on the Fredericton market 10 months ago at $159,900.

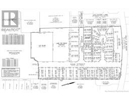
Looking for a building lot in one of Frederictons most coveted neighborhoods?! The wait is now finally over. Thirty-five fully-serviced building lots are now available for sale in Phase I of this exceptional Golf Club Road development. Consisting of 26 single-family, 6 duplex and 3 triplex lots, this stunning location will provide home owners with city living in a country setting. Only a short distance to the Woodstock Road and the beautiful trail system. For uptown access, residents will be able to enjoy accessing the much-anticipated roundabout at Prospect Street, allowing immediate access to uptown shopping and services, local schools and all major highways. For golfers, this development is only a few hundred meters from the Fredericton Golf Club. There will also be a two-acre park, walking and biking lanes through the development. Restrictive Covenants are in place to protect your investment. Note that lots are being sold for individual home construction (ie: no lot & home packages are available). Phase I will be the only opportunity available for public acquisition. Dont miss this rare and exclusive opportunity to build your dream home in one of Frederictons most desirable neighborhoods. HST is extra and applicable on all lot sales. (id:1945)
Powered by REALTOR.ca
This listing content provided by REALTOR.ca has been licensed by REALTOR®
members of The Canadian Real Estate Association
Exterior & Lot Features Learn about the exterior and lot specifics of 24 231 Stacho Street
  • Lot Features: Golf course/parkland
  • Water Source: Municipal water
  • Lot Size Units: square meters
  • Lot Size Dimensions: 650
Location & Community Understand the neighborhood and community
  • Common Interest: Freehold
Utilities & Systems Review utilities and system installations
  • Sewer: Municipal sewage system
Tax & Legal Information Get tax and legal details applicable to 24 231 Stacho Street
  • Parcel Number: 01500461
  • Tax Annual Amount: 6033.65
Additional Features Explore extra features and benefits
  • List A O R: New Brunswick
  • List A O R Key: 84

Nearby Listings Stat Estimated price and comparable properties near 24 231 Stacho Street

Active listings
33
Min Price
$20,000
Max Price
$1,785,000
Avg Price
$417,388
Days on Market
172 days
Sold listings
3
Min Sold Price
$259,900
Max Sold Price
$699,900
Avg Sold Price
$464,933
Days until Sold
48 days

Nearby Places Nearby schools and amenities around 24 231 Stacho Street

Caribbean Flavas Restaurant (0.1 km)
123 York St, Fredericton

Jack's Pizza & Poutine (0.2 km)
379 King St, Fredericton

Palate Restaurant & Café (0.2 km)
462 Queen, Fredericton

Cora - Fredericton (0.2 km)
476 Queen St, Fredericton

Mexicali Rosas Fredericton (0.3 km)
304 King St, Fredericton

Aura Whole Foods (0.3 km)
199 Westmorland, Fredericton

McGinnis Landing (0.3 km)
280 King St, Fredericton

Second Cup (0.1 km)
440 King St #38, Fredericton

Cedar Tree Cafe inc. (0.2 km)
418 Queen St, Fredericton

BrewBakers (0.2 km)
546 King St, Fredericton

Tim Hortons (0.4 km)
612 King St, Fredericton

Happy Baker The (0.2 km)
HSBC Pl, Fredericton

M and T Deli (0.3 km)
546 Queen St, Fredericton

University of Fredericton (0.3 km)
371 Queen St #101, Fredericton

The Capital Bar (0.3 km)
362 Queen, Fredericton

Fredericton City Hall (0.3 km)
Fredericton

The Blue Door Restaurant and Bar (0.4 km)
100 Regent St, Fredericton

Fredericton Region Museum (0.4 km)
571 Queen St, Fredericton

Price History

January 30, 2025
by PARTNERS GLOBAL Corporate Real Estate
$159,900
24 231 Stacho Street
More Details?
Mark Leblanc
  • Mark Leblanc
  • PARTNERS GLOBAL Corporate Real Estate
  • 506-260-7203
  • Website

Nearby Cities Listings Avg. price
Saint John Real Estate 163 $440,498
Bouctouche Real Estate 66 $149,141
Moncton Real Estate 401 $548,717
Miramichi Real Estate 92 $261,170
Grandsault Grand Falls Real Estate 65 $399,412
Shediac Real Estate 80 $498,311
Popular Cities Listings Avg. price
Ottawa Real Estate 2425 $831,680
Kawartha Lakes Real Estate 465 $865,405
Oshawa Real Estate 356 $821,351
Markham Real Estate 562 $1,251,749
Richmond Hill Real Estate 465 $1,755,815
Toronto Real Estate 5070 $1,253,099